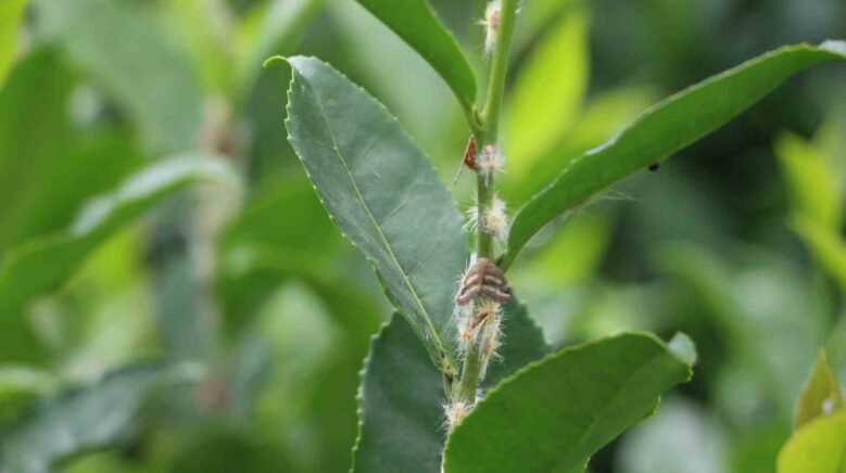
Doğu Karadeniz Bölgesi’nde tarım topraklarında birinci kere 2008 yılında görülen bitkilerin özsuyunu emdiği için ’Vampir Kelebek’ olarak isimlendirilen Ricania Simulans, son gnülerde sıcaklıkların artması ile tekrar kendini göstermeye başladı.
Rize’de yeşil bitkilerin özünü emdiği için ’vampir kelebek’ olarak isimlendirilen ve çiftçilerin kabusu haline gelen Ricania Simulans’ın yumurtlama devri olan Temmuz ayında, bıraktığı yumurtalar Ağustos ayında kelebeğe dönüşünce bitkilere önemli manada ziyan veriyor.
Rize’nin Çayeli ilçesinde yaşayan Adnan Cengiz isimli vatandaş vampir kelebeklerin çay başta olmak üzere tüm bitkilere ziyan verdiğini söyledi. Cengiz “Karadeniz bölgesinde Rize Çayeli’nde bu kelebek haddinden fazla türedi. Sizin de gördüğünüz üzere salatalıkları, fasulyeleri ve meyveleri büsbütün kuruttu. Tarım Bakanımız bunun için özellikle bu kelebekler için şikâyetçiyiz. Gece meskende oturamıyoruz, gece kapılara ve pençelere çıkamıyoruz. Her taraf kelebek dolu bundan biz rahatsızız ne olacak bilmiyoruz. Karadeniz bölgesini bu kelebekler büsbütün sardı. Rahatsız oluyoruz hiç meyve ve çay kalmadı. Bas baya bizi rahatsız ediyor. Buna büyüklerimiz bir el atsa da bunlardan bizi kurtarsınlar” dedi.


Doğu Karadeniz’in korkulu rüyası ’Vampir kelebekler’ yeniden ortaya çıktı
KTSO’ya DMO bilgilendirme ziyareti
Devlet Malzeme Ofisi Bursa Şube Müdürü Atıf Al, Karabük Ticaret ve Sanayi Odası Yönetim Kurulu Başkanı Fatih Çapraz’ı ziyaret etti. Görüşmede KTSO Genel Sekreteri Hasan Kaya de hazır bulundu.
Ziyarette, Devlet Malzeme Ofisi’nin alım ve tedarik süreçleri ile kamu tedarik sistemine entegrasyon konuları ele alındı. DMO Bursa Şube Müdürü Atıf Al, özellikle yerel firmaların kamu alımlarında daha etkin rol üstlenebilmesi için gerekli başvuru kriterleri ve dikkat edilmesi gereken hususlar hakkında bilgi verdi. Al ayrıca, DMO’nun işleyiş mekanizması ve tedarik süreçlerine ilişkin kapsamlı değerlendirmelerde bulundu.
Görüşmede kamu kurumları ile özel sektör arasındaki iş birliğinin geliştirilmesi, tedarik süreçlerinde kalite ve sürdürülebilirlik anlayışının güçlendirilmesi ile Karabük firmalarının kamu tedarik zincirinde daha fazla yer alması konuları da gündeme geldi. Karşılıklı fikir alışverişi şeklinde geçen toplantıda, kamu alımlarında doğru bilgilendirme ve kurumsal iş birliğinin önemine dikkat çekildi.
KTSO Başkanı Fatih Çapraz ise nazik ziyaretleri ve paylaştığı bilgiler dolayısıyla DMO Bursa Şube Müdürü Atıf Al’a teşekkür ederek, 100 yıllık köklü geçmişe sahip Devlet Malzeme Ofisi’nin kuruluş yıl dönümünü kutladı.

